Description
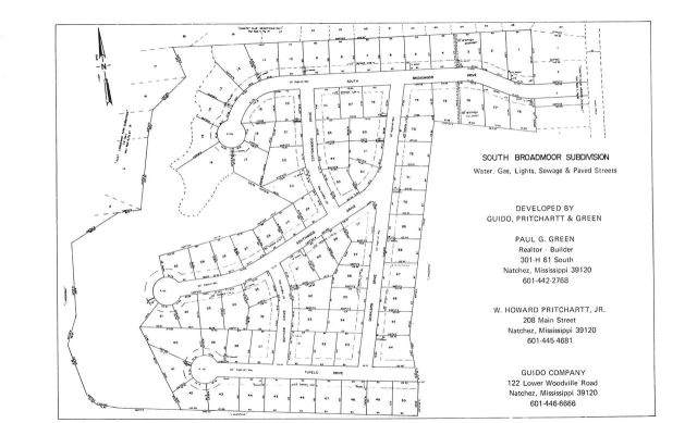
Lot has covenants calling for single family residential construction. No mobile homes are permitted as per the attached covenants in associated documents. The acreage figure is approximate. See the copy of the South Broadmoor Plat is in associated documents for the most accurate dimensions of the Lot. Owner/Broker
$15,500
-
0BEDS
-
0.2ACRES
-
0BATHS
-
01/2 BATHS
School Ratings & Info
Description
Lot has covenants calling for single family residential construction. No mobile homes are permitted as per the attached covenants in associated documents. The acreage figure is approximate. See the copy of the South Broadmoor Plat is in associated documents for the most accurate dimensions of the Lot. Owner/Broker
