Description
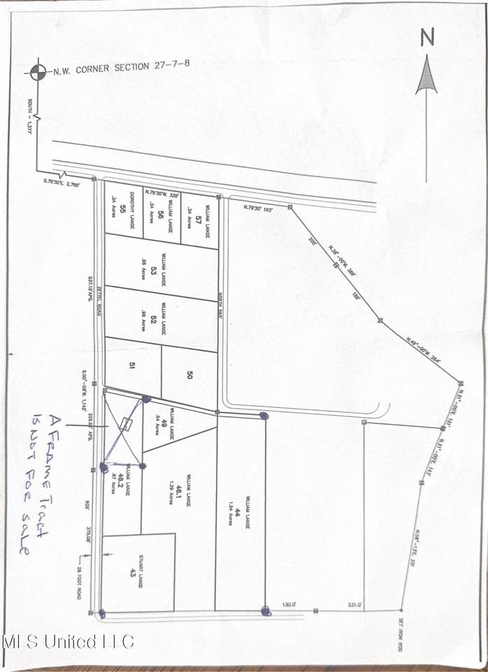
Potential. Privacy. Proximity. 4.83 Acres in Ocean Springs' Highest Elevation Zone Ability to create parcels and get a quick return on your investment. A rare opportunity to own nearly 5 acres in one of the Gulf Coast's most beloved and best-kept secrets—Ocean Springs, Mississippi. Tucked away just minutes from downtown, this 4.83-acre wooded sanctuary offers exceptional privacy, natural beauty, and 20 feet of elevation—the highest point in Ocean Springs. This land has never flooded and has weathered every major hurricane without issue. Fantastic opportunity to own usable acreage with excellent potential for bespoke residential design. A recent boundary survey, FEMA flood map, and elevation data provide clear confidence in the layout, access, and high ground of the property. Septic feasibility has been confirmed through the county approval process, and utilities are straightforward with a private well on site and power available at the road. The land offers several natural build locations, ideal for crafting a bespoke homesite, with room for a driveway along the edge and multiple options for clearing without major work. An older structure is present and conveys as-is; buyer may renovate or remove as desired. Additional photos show road frontage, walkable understory, high-elevation points, and accessory structures to help buyers envision the property's full potential. Zoned for single-family use with accessory buildings permitted (buyer to verify), this parcel supports a wide range of residential possibilities. A great option for anyone seeking privacy, usability, and a clear path to building. ⸻
-
0BEDS
-
4.83ACRES
-
0BATHS
-
01/2 BATHS
School Information
Description
Potential. Privacy. Proximity. 4.83 Acres in Ocean Springs' Highest Elevation Zone Ability to create parcels and get a quick return on your investment. A rare opportunity to own nearly 5 acres in one of the Gulf Coast's most beloved and best-kept secrets—Ocean Springs, Mississippi. Tucked away just minutes from downtown, this 4.83-acre wooded sanctuary offers exceptional privacy, natural beauty, and 20 feet of elevation—the highest point in Ocean Springs. This land has never flooded and has weathered every major hurricane without issue. Fantastic opportunity to own usable acreage with excellent potential for bespoke residential design. A recent boundary survey, FEMA flood map, and elevation data provide clear confidence in the layout, access, and high ground of the property. Septic feasibility has been confirmed through the county approval process, and utilities are straightforward with a private well on site and power available at the road. The land offers several natural build locations, ideal for crafting a bespoke homesite, with room for a driveway along the edge and multiple options for clearing without major work. An older structure is present and conveys as-is; buyer may renovate or remove as desired. Additional photos show road frontage, walkable understory, high-elevation points, and accessory structures to help buyers envision the property's full potential. Zoned for single-family use with accessory buildings permitted (buyer to verify), this parcel supports a wide range of residential possibilities. A great option for anyone seeking privacy, usability, and a clear path to building. ⸻
