Description
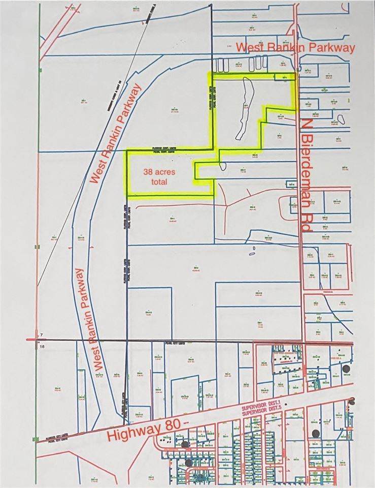
This property is located at the long awaited West Rankin Parkway! It is 38+ acres of prime Commercial Land zoned I-1. It is just over a hundred feet away from the new parkway from either side and has approximately 520 feet of frontage on N Bierdeman Road. Land uses permitted in C-2 and C-3 are also acceptable on this property per City of Pearl Community Development. The West Rankin Parkway connects Pearl and Flowood at Pearson Rd and Treetops Blvd. Most, if not all, of the property is fenced by chain link, barb wire and/or cattle wire. Build here and be seen! Call a for an appointment to view.
-
0BEDS
-
38ACRES
-
0BATHS
-
01/2 BATHS
School Information
Description
This property is located at the long awaited West Rankin Parkway! It is 38+ acres of prime Commercial Land zoned I-1. It is just over a hundred feet away from the new parkway from either side and has approximately 520 feet of frontage on N Bierdeman Road. Land uses permitted in C-2 and C-3 are also acceptable on this property per City of Pearl Community Development. The West Rankin Parkway connects Pearl and Flowood at Pearson Rd and Treetops Blvd. Most, if not all, of the property is fenced by chain link, barb wire and/or cattle wire. Build here and be seen! Call a for an appointment to view.
